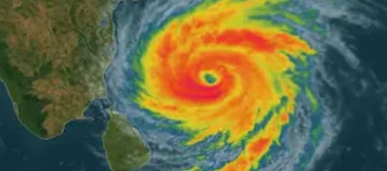
Cyclone Montha is expected to hit Andhra Pradesh and southern odisha by the evening or night of october 28. With heavy rain, strong winds, and possible power cuts, staying tech-ready is as important as storing food and water.


Areas Likely to Be Affected


Andhra Pradesh: Kakinada, Konaseema, Eluru, east and West Godavari


Odisha: Ganjam, Gajapati, Rayagada


Winds up to 110 km/h, heavy rainfall, and sea waves up to 1 meter


Named “Montha” by Thailand


Charge Up & Prepare Devices


Fully charge phones, power banks, laptops, and tablets before the storm.


Use a large power bank (20,000 mAh+) for multiple phone charges.


Enable battery saver mode and close unnecessary apps to extend battery life.


Download offline maps, SOS apps, and weather updates that work without internet.


Keep portable hotspots charged.


Plug Wi-Fi routers into a UPS to stay online during power cuts.


Keep torches, radios, and emergency lights handy.


Easy Tech Steps to Stay Safe


Save data: Keep important documents in cloud storage and on a pen drive.


Offline contacts: Note down emergency numbers of hospitals, police, and relatives


Use simple apps: Light apps or SMS work better when the internet is weak.


Old phones: Keep a feature phone charged for longer battery life


Recharge early: Complete mobile recharges before the storm in case online payments fail.


Get alerts: Keep your phone on for official emergency messages, even without internet.


GPS on: Enable location and battery saver mode for faster assistance


Unplug devices: Switch off home electronics to prevent damage from lightning or voltage spikes.


Key Advice


Stay indoors and avoid unnecessary travel.


Follow local news and weather updates.


Keep phones charged for emergency updates.



By taking these precautions, you can stay connected, safe, and informed even if the internet or electricity goes down during Cyclone Montha.


Disclaimer:

The information contained in this article is for general informational purposes only. While we strive to ensure accuracy, we make no warranties or representations of any kind, express or implied, about the completeness, accuracy, reliability, suitability, or availability of the content. Any reliance you place on the information is strictly at your own risk. The views, opinions, or claims expressed in this article are those of the author and do not necessarily reflect the official policy or position of any organization mentioned. We disclaim any liability for any loss or damage arising directly or indirectly from the use of this article.

Find out more: